Официальное опубликование правовых актов
ОФИЦИАЛЬНОЕ ОПУБЛИКОВАНИЕ
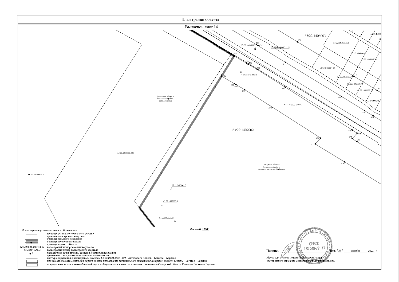
Приказ Министерства транспорта и автомобильных дорог Самарской области от 11.12.2023 № 389
"Об установлении зоны с особыми условиями использования территории – придорожной полосы автомобильной дороги общего пользования регионального значения в Самарской области Кинель – Богатое – Борское, расположенной в муниципальных районах Кинельский, Богатовский, Борский Самарской области"
(Зарегистрирован 11.12.2023 № МТ-23/389)
Номер опубликования: 6301202312110006
Дата опубликования: 11.12.2023
Страница №221 из 312:
Увеличить