Официальное опубликование правовых актов
ОФИЦИАЛЬНОЕ ОПУБЛИКОВАНИЕ
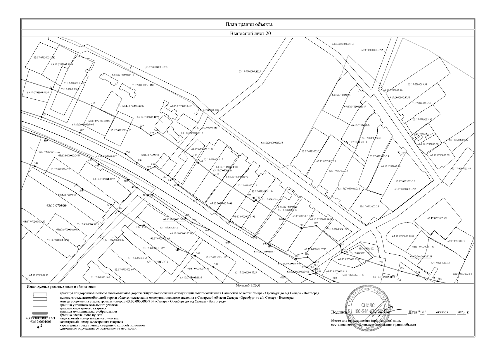
Приказ Министерства транспорта и автомобильных дорог Самарской области от 11.12.2023 № 390
"Об установлении зоны с особыми условиями использования территории – придорожной полосы автомобильной дороги общего пользования межмуниципального значения в Самарской области Самара – Оренбург до а/д Самара – Волгоград, расположенной в городском округе Самара, в муниципальном районе Волжский Самарской области"
(Зарегистрирован 11.12.2023 № МТ-23-390)
Номер опубликования: 6301202312110005
Дата опубликования: 11.12.2023
Страница №30 из 63:
Увеличить