Официальное опубликование правовых актов
ОФИЦИАЛЬНОЕ ОПУБЛИКОВАНИЕ
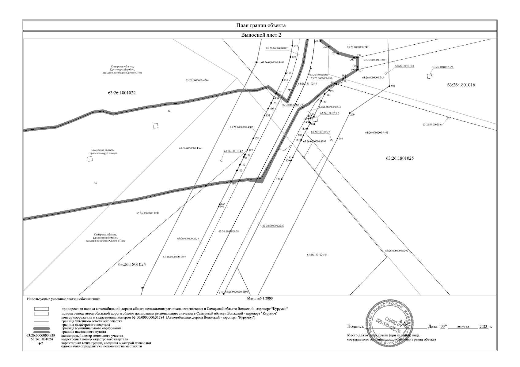
Приказ Министерства транспорта и автомобильных дорог Самарской области от 11.12.2023 № 391
"Об установлении зоны с особыми условиями использования территории – придорожной полосы автомобильной дороги общего пользования регионального значения в Самарской области Волжский – аэропорт "Курумоч", расположенной в городском округе Самара, в муниципальном районе Красноярский Самарской области"
(Зарегистрирован 11.12.2023 № МТ-23-391)
Номер опубликования: 6301202312110004
Дата опубликования: 11.12.2023
Страница №10 из 61:
Увеличить