Официальное опубликование правовых актов
ОФИЦИАЛЬНОЕ ОПУБЛИКОВАНИЕ
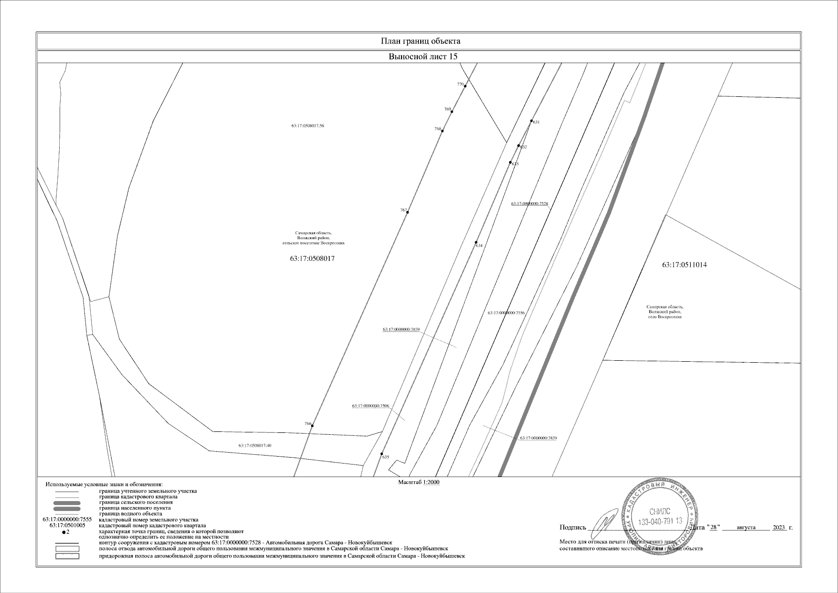
Приказ Министерства транспорта и автомобильных дорог Самарской области от 11.12.2023 № 392
"Об установлении зоны с особыми условиями использования территории – придорожной полосы автомобильной дороги общего пользования регионального значения в Самарской области Самара - Новокуйбышевск, расположенной в муниципальном районе Волжский Самарской области"
(Зарегистрирован 11.12.2023 № МТ-23-392)
Номер опубликования: 6301202312110003
Дата опубликования: 11.12.2023
Страница №23 из 73:
Увеличить