Официальное опубликование правовых актов
ОФИЦИАЛЬНОЕ ОПУБЛИКОВАНИЕ
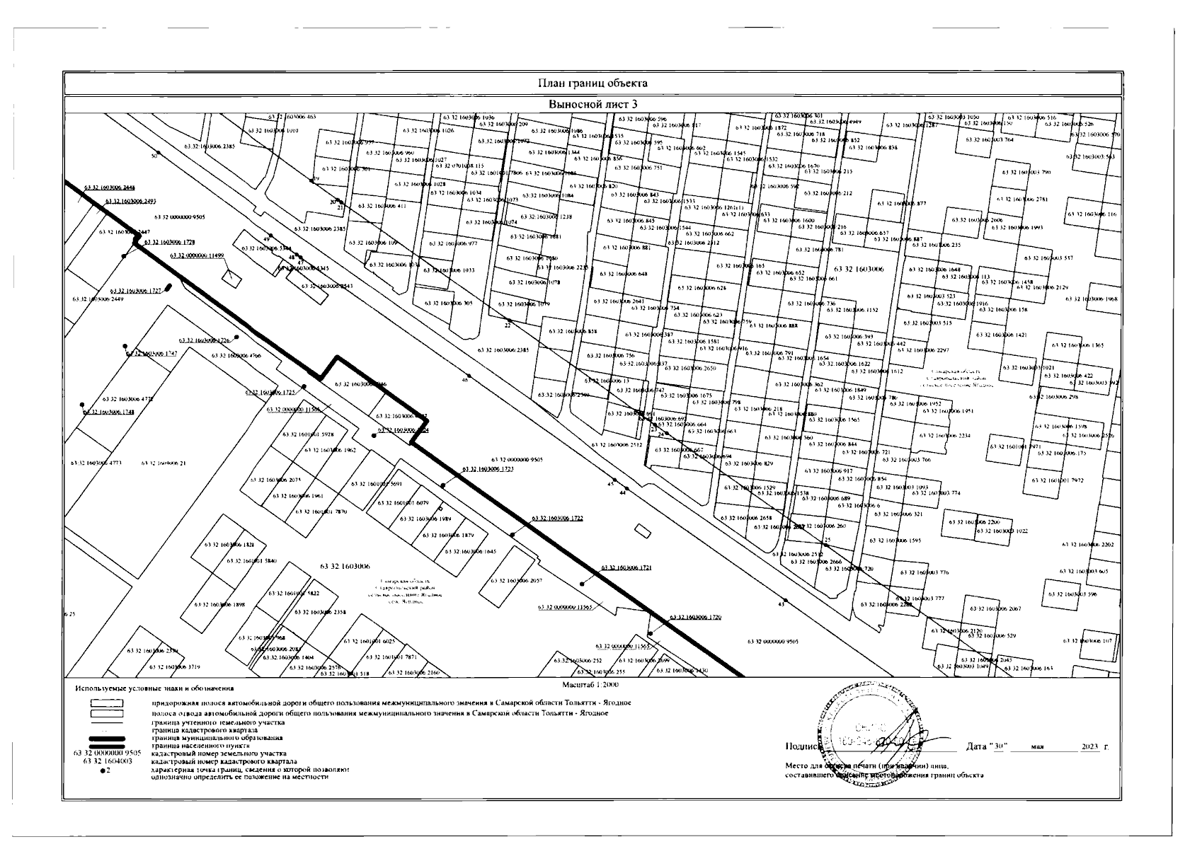
Приказ Министерства транспорта и автомобильных дорог Самарской области от 09.11.2023 № 344
"Об установлении зоны с особыми условиями использования территории – придорожной полосы автомобильной дороги общего пользования межмуниципального значения в Самарской области Тольятти – Ягодное, расположенной в городском округе Тольятти, в муниципальном районе Ставропольский Самарской области"
(Зарегистрирован 09.11.2023 № МТ 23/344)
Номер опубликования: 6301202311130001
Дата опубликования: 13.11.2023
Страница №12 из 40:
Увеличить