Официальное опубликование правовых актов
ОФИЦИАЛЬНОЕ ОПУБЛИКОВАНИЕ
Приказ Управления государственной охраны объектов культурного наследия Самарской области от 12.09.2022 № 254
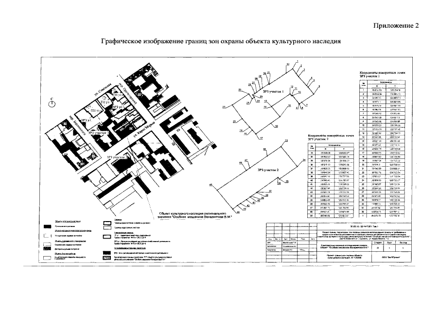
"Об утверждении границ территории и зон охраны объекта культурного наследия регионального значения "Особняк мещанина Венедиктова В.М.", расположенного по адресу: Самарская область, г. Сызрань, ул. Карла Маркса, 13, режимов использования земель и требований к градостроительным регламентам в границах данных зон"
Номер опубликования: 6301202209150015
Дата опубликования: 15.09.2022
Страница №17 из 17:
Увеличить