Официальное опубликование правовых актов
ОФИЦИАЛЬНОЕ ОПУБЛИКОВАНИЕ
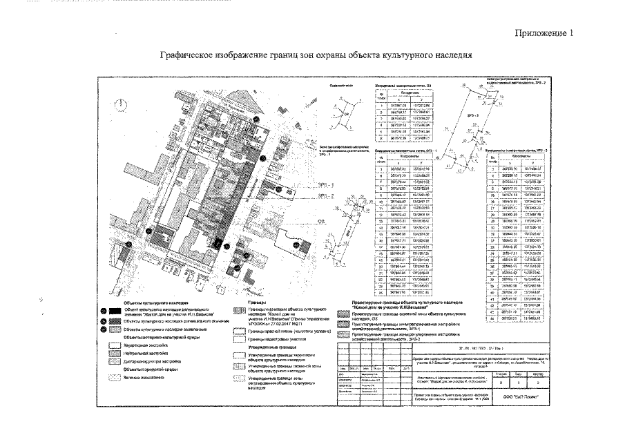
Приказ Управления государственной охраны объектов культурного наследия Самарской области от 23.08.2021 № 118
"Об утверждении границ зон охраны объекта культурного наследия регионального значения "Жилой дом на участке И.Н.Васькова", расположенного по адресу: Самарская область, г. Самара, ул. Арцыбушевская, 78, литера А, режимов использования земель и требований к градостроительным регламентам в границах данных зон"
Номер опубликования: 6301202108250002
Дата опубликования: 25.08.2021
Страница №16 из 16:
Увеличить