Официальное опубликование правовых актов
ОФИЦИАЛЬНОЕ ОПУБЛИКОВАНИЕ
Постановление Главного управления архитектуры и градостроительства Рязанской области от 12.08.2025 № 661-п
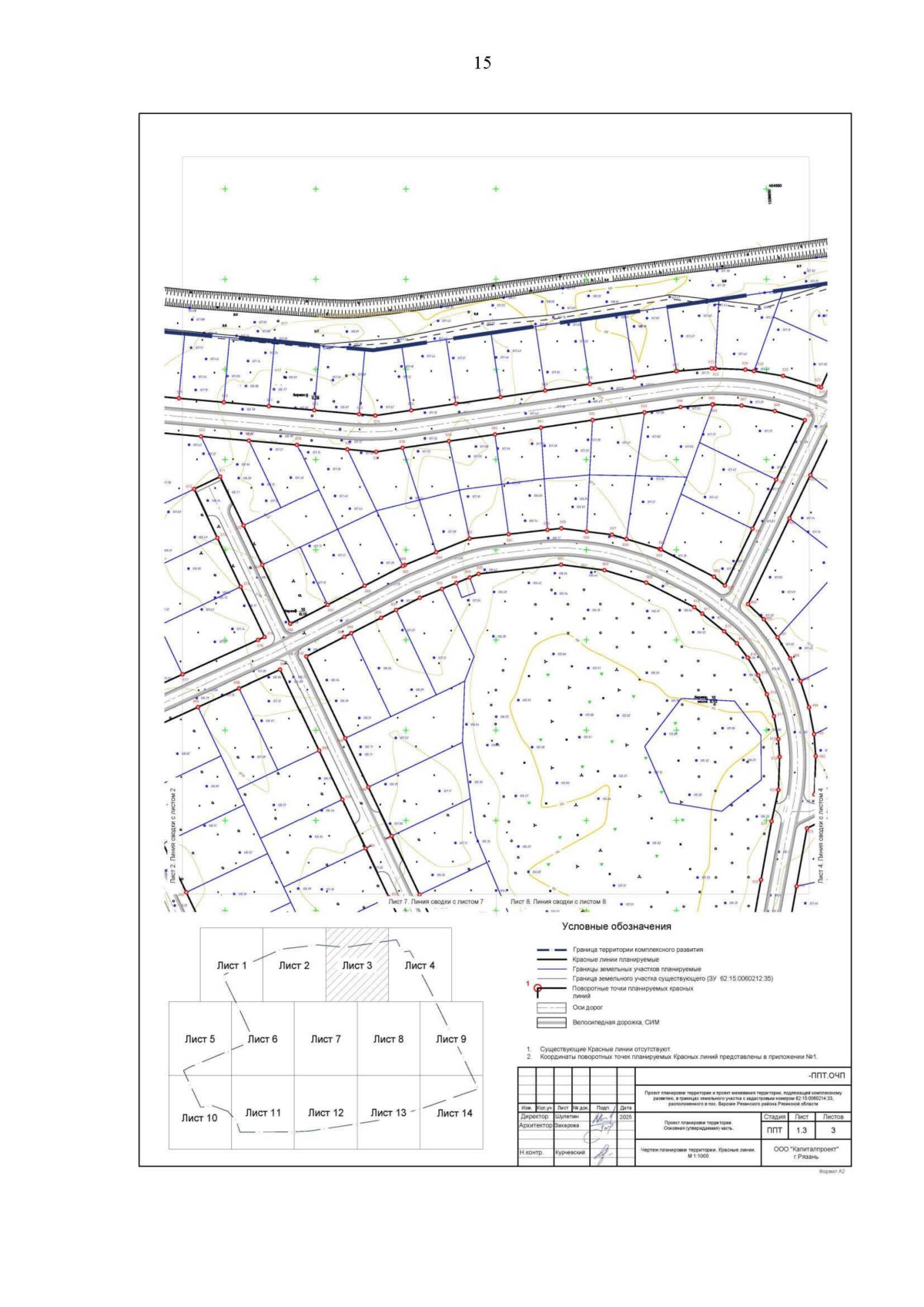
"Об утверждении документации по планировке территории (проект планировки территории и проект межевания территории), подлежащей комплексному развитию, в границах земельного участка с кадастровым номером 62:15:0060214:33, расположенного в пос. Варские Рязанского района Рязанской области"
(Зарегистрирован 13.08.2025 № 978)
Номер опубликования: 6201202508150007
Дата опубликования: 15.08.2025
Страница №17 из 223:
Увеличить