Официальное опубликование правовых актов
ОФИЦИАЛЬНОЕ ОПУБЛИКОВАНИЕ
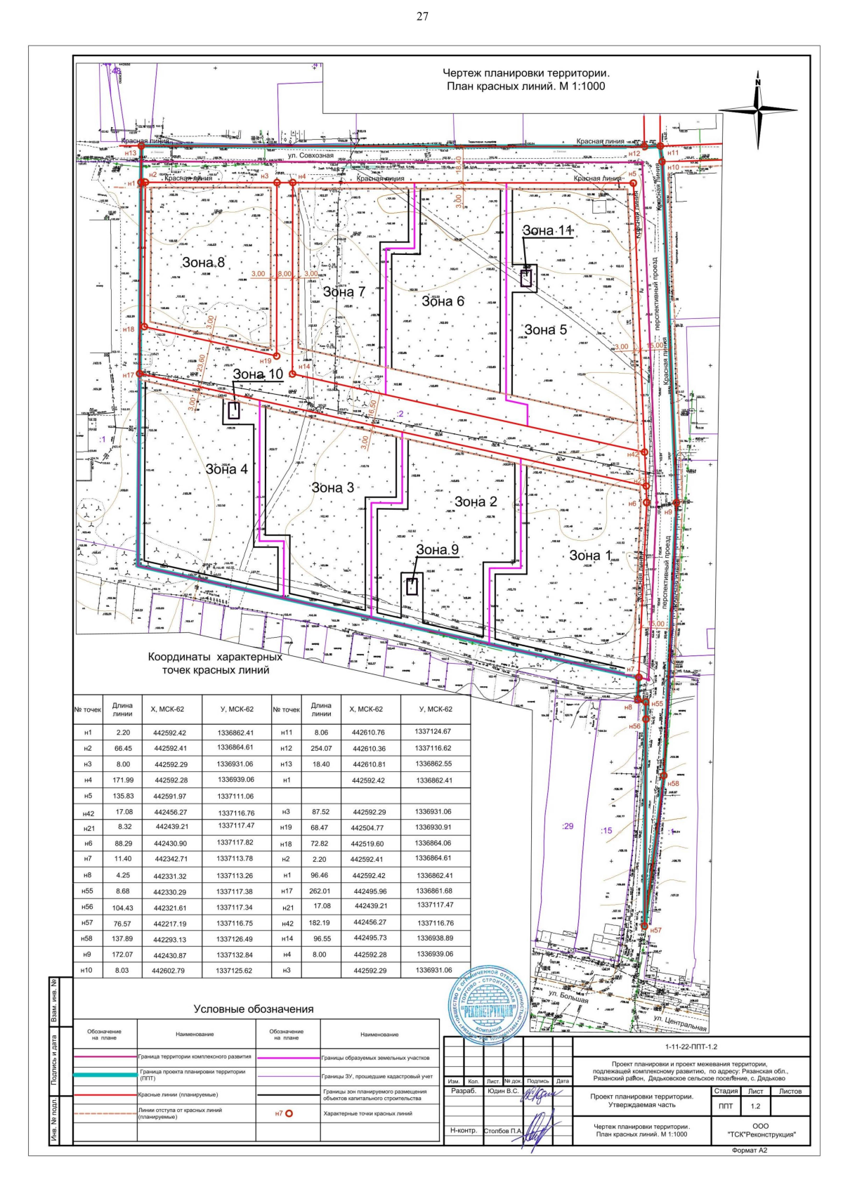
Постановление Главного управления архитектуры и градостроительства Рязанской области от 25.10.2023 № 520-п
"Об утверждении документации по планировке территории, подлежащей комплексному развитию, по адресу: Рязанская область, Рязанский район, Дядьковское сельское поселение, с. Дядьково"
(Зарегистрирован 26.10.2023 № 920)
Номер опубликования: 6201202310300024
Дата опубликования: 30.10.2023
Страница №29 из 45:
Увеличить