Официальное опубликование правовых актов
ОФИЦИАЛЬНОЕ ОПУБЛИКОВАНИЕ
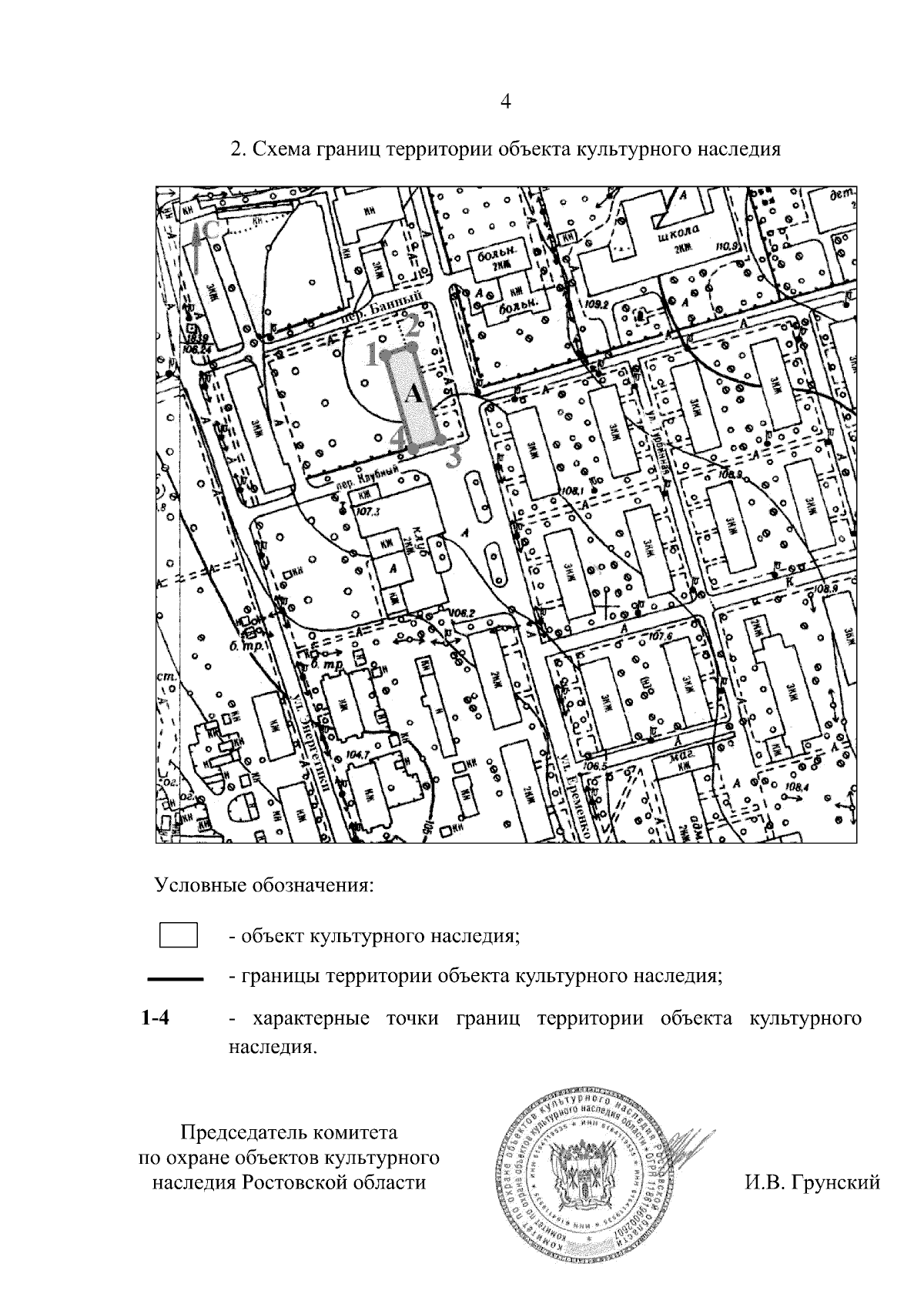
Постановление Комитета по охране объектов культурного наследия Ростовской области от 25.06.2024 № 1265
"О включении выявленного объекта культурного наследия "Жилой дом с мозаичным тематическим панно на южном фасаде" в единый государственный реестр объектов культурного наследия (памятников истории и культуры) народов Российской Федерации в качестве объекта культурного наследия регионального значения (памятника) с наименованием "Жилой дом с мозаичным тематическим панно на южном фасаде", 1930 г.; 1970-е гг., расположенного по адресу: Ростовская область, городской округ город Шахты, город Шахты, улица Еременко, дом 11, об утверждении границ территории и требований к осуществлению деятельности в границах его территории"
(Зарегистрирован 25.06.2024 № 1265)
Номер опубликования: 6101202407010006
Дата опубликования: 01.07.2024
Страница №4 из 5:
Увеличить