Официальное опубликование правовых актов
ОФИЦИАЛЬНОЕ ОПУБЛИКОВАНИЕ
Постановление Комитета по охране объектов культурного наследия Ростовской области от 25.04.2024 № 746
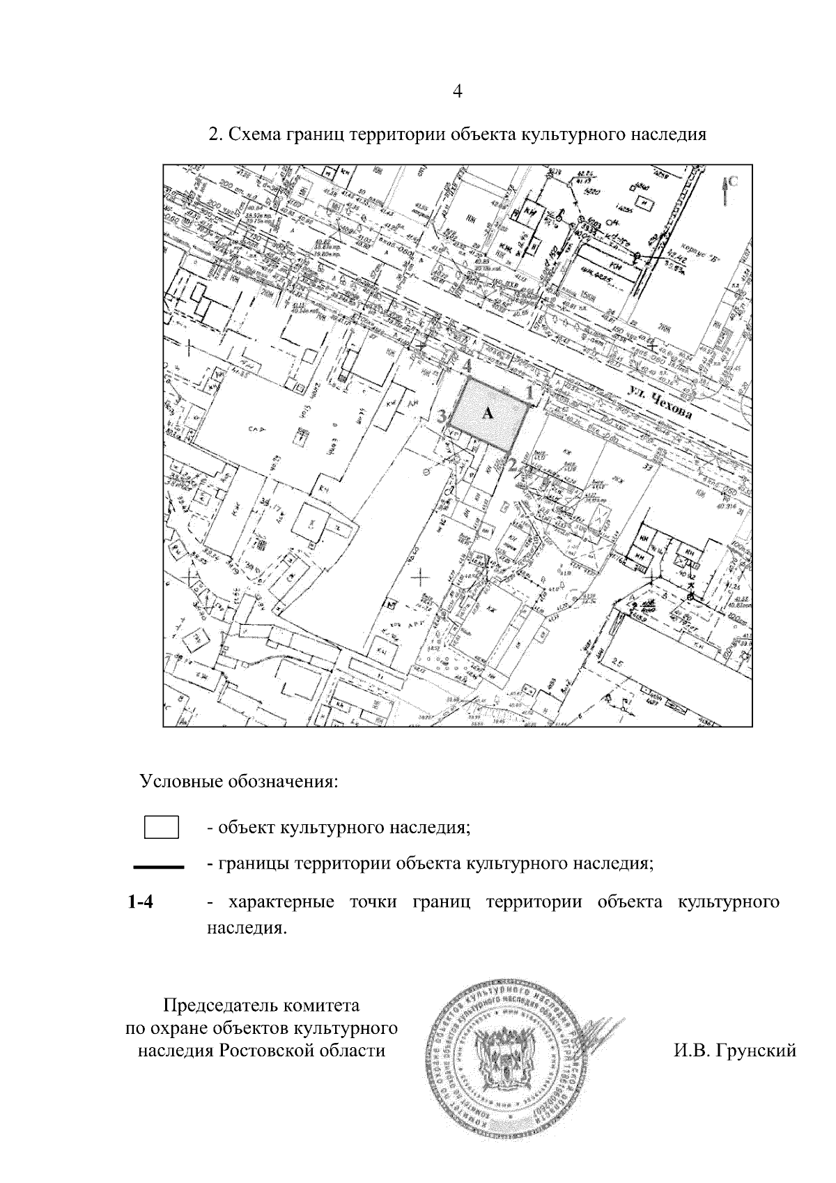
"О включении выявленного объекта культурного наследия "Жилой дом А.А. Водорезова" в единый государственный реестр объектов культурного наследия (памятников истории и культуры) народов Российской Федерации в качестве объекта культурного наследия регионального значения (памятника) с наименованием "Жилой дом А.А. Водорезова", 1910-е гг., расположенного по адресу: Ростовская область, городской округ город Таганрог, город Таганрог, улица Чехова, дом 35, об утверждении границ территории и требований к осуществлению деятельности в границах его территории"
(Зарегистрирован 25.04.2024 № 746)
Номер опубликования: 6101202404260020
Дата опубликования: 26.04.2024
Страница №4 из 5:
Увеличить