Официальное опубликование правовых актов
ОФИЦИАЛЬНОЕ ОПУБЛИКОВАНИЕ
Постановление Комитета по охране объектов культурного наследия Ростовской области от 25.04.2024 № 743
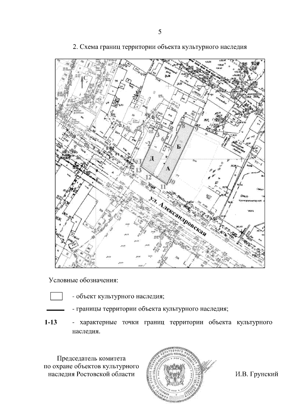
"О включении выявленного объекта культурного наследия "Домовладение Х.Д. Симонович" в единый государственный реестр объектов культурного наследия (памятников истории и культуры) народов Российской Федерации в качестве объекта культурного наследия регионального значения (ансамбля) с наименованием "Домовладение Х.Д. Симонович", конец 1890-х – начало 1910-х годов, расположенного по адресу: Ростовская область, городской округ город Таганрог, город Таганрог, улица Александровская, 108, литеры А, Б, Д, об утверждении границ территории и требований к осуществлению деятельности в границах его территории"
(Зарегистрирован 25.04.2024 № 743)
Номер опубликования: 6101202404260017
Дата опубликования: 26.04.2024
Страница №5 из 6:
Увеличить