Постановление Комитета по охране объектов культурного наследия Ростовской области от 01.09.2023 № 1341
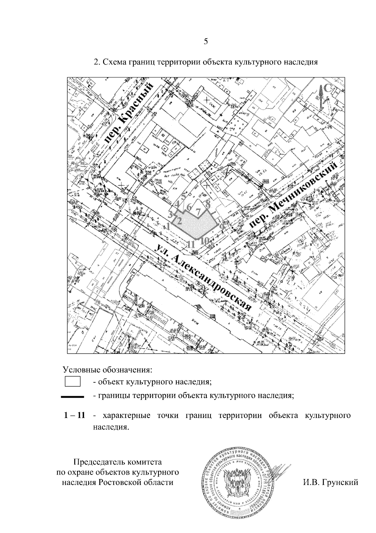
"О включении выявленного объекта культурного наследия "Жилой дом Н.А. Попандопуло" в единый государственный реестр объектов культурного наследия (памятников истории и культуры) народов Российской Федерации в качестве объекта культурного наследия регионального значения (памятника) с наименованием "Жилой дом Н.А. Попандопуло", 2 пол. XIX в., расположенного по адресу: Ростовская область, городской округ город Таганрог, город Таганрог, улица Александровская, дом 78, об утверждении границ территории и требований к осуществлению деятельности в границах его территории"
(Зарегистрирован 01.09.2023 № 1341)
"О включении выявленного объекта культурного наследия "Жилой дом Н.А. Попандопуло" в единый государственный реестр объектов культурного наследия (памятников истории и культуры) народов Российской Федерации в качестве объекта культурного наследия регионального значения (памятника) с наименованием "Жилой дом Н.А. Попандопуло", 2 пол. XIX в., расположенного по адресу: Ростовская область, городской округ город Таганрог, город Таганрог, улица Александровская, дом 78, об утверждении границ территории и требований к осуществлению деятельности в границах его территории"
(Зарегистрирован 01.09.2023 № 1341)
Номер опубликования: 6101202309060024
Дата опубликования:
06.09.2023
