Постановление Комитета по охране объектов культурного наследия Ростовской области от 01.09.2023 № 1343
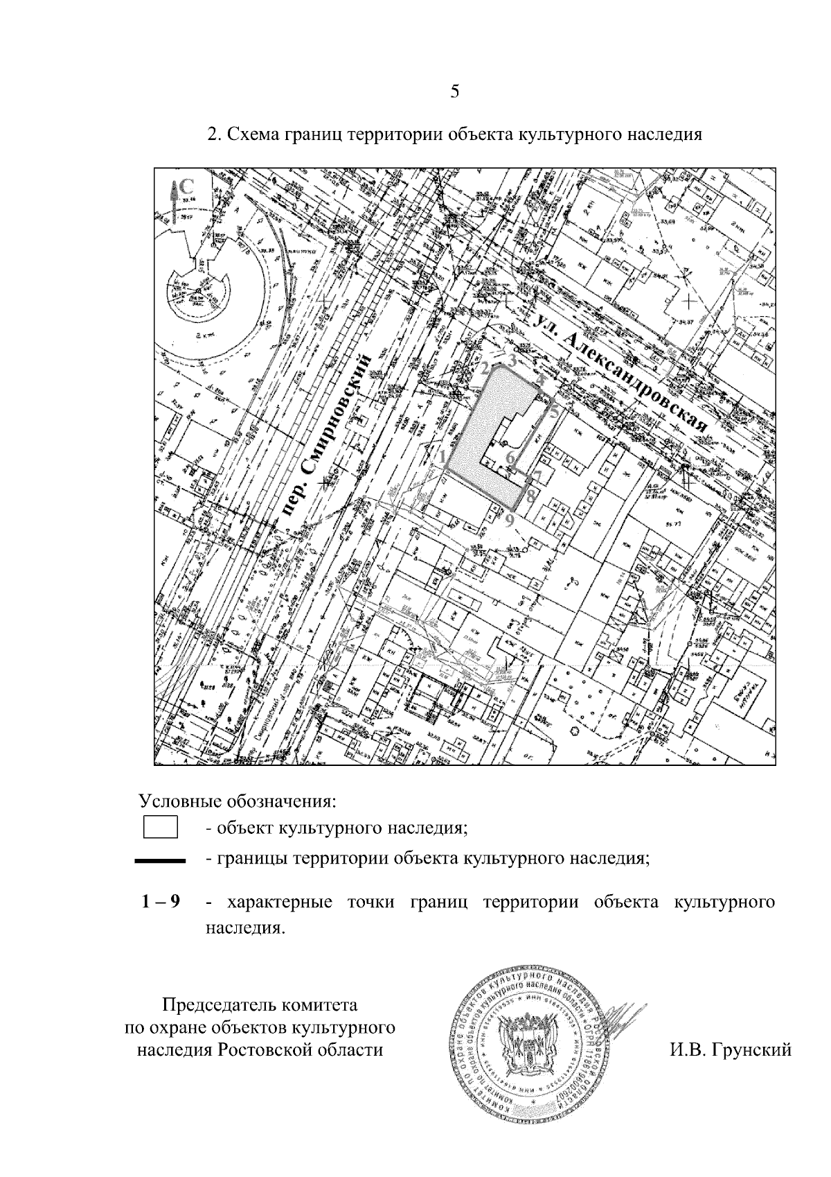
"О включении выявленного объекта культурного наследия "Доходный дом Д.Г. Холодырева" в единый государственный реестр объектов культурного наследия (памятников истории и культуры) народов Российской Федерации в качестве объекта культурного наследия регионального значения (памятника) с наименованием "Доходный дом Д.Г. Холодырева", 1912 – 1915 гг., расположенного по адресу: Ростовская область, городской округ город Таганрог, город Таганрог, улица Александровская, дом 105, об утверждении границ территории и требований к осуществлению деятельности в границах его территории"
(Зарегистрирован 01.09.2023 № 1343)
"О включении выявленного объекта культурного наследия "Доходный дом Д.Г. Холодырева" в единый государственный реестр объектов культурного наследия (памятников истории и культуры) народов Российской Федерации в качестве объекта культурного наследия регионального значения (памятника) с наименованием "Доходный дом Д.Г. Холодырева", 1912 – 1915 гг., расположенного по адресу: Ростовская область, городской округ город Таганрог, город Таганрог, улица Александровская, дом 105, об утверждении границ территории и требований к осуществлению деятельности в границах его территории"
(Зарегистрирован 01.09.2023 № 1343)
Номер опубликования: 6101202309060017
Дата опубликования:
06.09.2023
