Постановление Комитета по охране объектов культурного наследия Ростовской области от 01.09.2023 № 1344
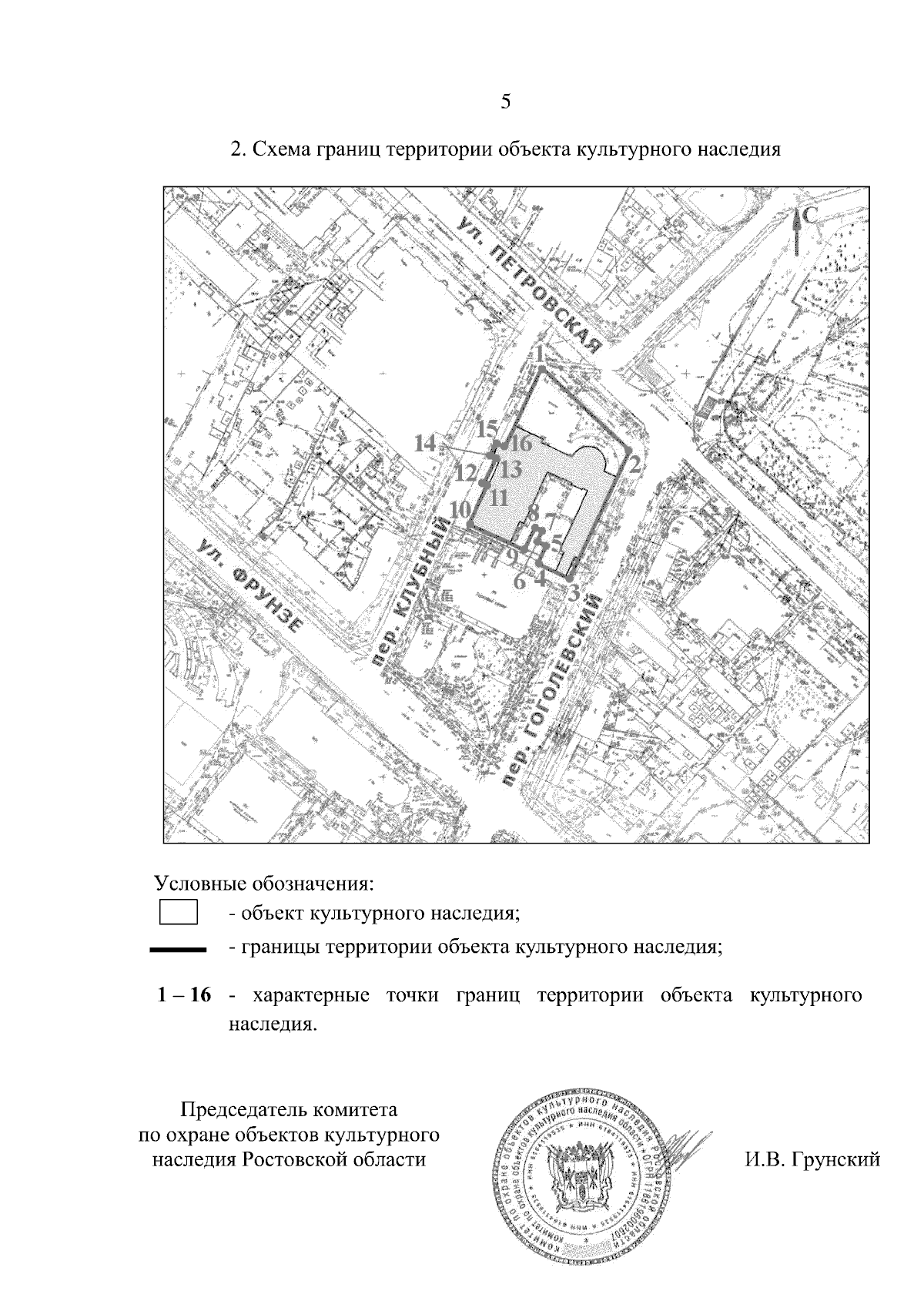
"О включении выявленного объекта культурного наследия "Здание клуба металлистов" в единый государственный реестр объектов культурного наследия (памятников истории и культуры) народов Российской Федерации в качестве объекта культурного наследия регионального значения (памятника) с наименованием "Здание клуба металлистов", кон. 1920-х гг.; реконструкция - нач. 1970-х гг., расположенного по адресу: Ростовская область, городской округ город Таганрог, город Таганрог, улица Петровская, дом 107, об утверждении границ территории и требований к осуществлению деятельности в границах его территории"
(Зарегистрирован 01.09.2023 № 1344)
"О включении выявленного объекта культурного наследия "Здание клуба металлистов" в единый государственный реестр объектов культурного наследия (памятников истории и культуры) народов Российской Федерации в качестве объекта культурного наследия регионального значения (памятника) с наименованием "Здание клуба металлистов", кон. 1920-х гг.; реконструкция - нач. 1970-х гг., расположенного по адресу: Ростовская область, городской округ город Таганрог, город Таганрог, улица Петровская, дом 107, об утверждении границ территории и требований к осуществлению деятельности в границах его территории"
(Зарегистрирован 01.09.2023 № 1344)
Номер опубликования: 6101202309060016
Дата опубликования:
06.09.2023
