Официальное опубликование правовых актов
ОФИЦИАЛЬНОЕ ОПУБЛИКОВАНИЕ
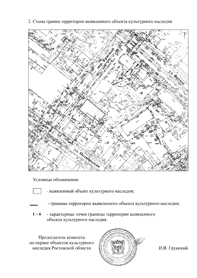
Постановление Комитета по охране объектов культурного наследия Ростовской области от 26.12.2022 № 20/01-01/441
"О включении объекта, обладающего признаками объекта культурного наследия, расположенного по адресу: Ростовская область, г. Таганрог, ул. Октябрьская, 8, литеры А, А1, в перечень выявленных объектов культурного наследия и об утверждении границ его территории"
Номер опубликования: 6101202212290012
Дата опубликования: 29.12.2022
Страница №4 из 4:
Увеличить