Официальное опубликование правовых актов
ОФИЦИАЛЬНОЕ ОПУБЛИКОВАНИЕ
Постановление Комитета по охране объектов культурного наследия Ростовской области от 06.09.2022 № 20/01-01/300
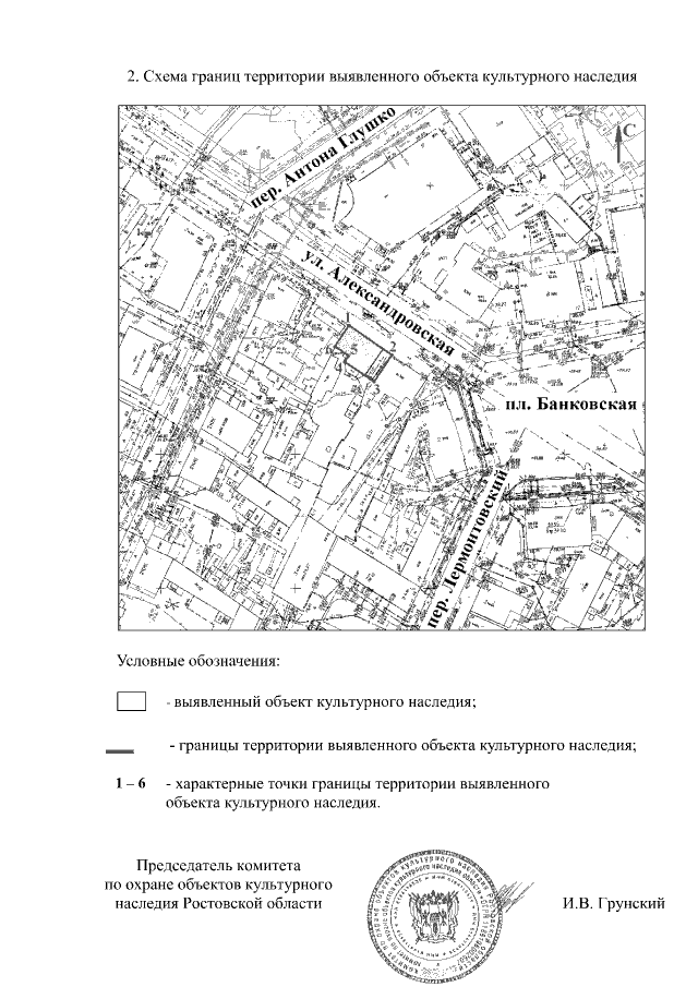
"О включении объекта, обладающего признаками объекта культурного наследия, расположенного по адресу: Ростовская область, г. Таганрог, ул. Александровская, 59, литеры А, А1, в перечень выявленных объектов культурного наследия и об утверждении границ его территории"
Номер опубликования: 6101202209080013
Дата опубликования: 08.09.2022
Страница №4 из 4:
Увеличить