Официальное опубликование правовых актов
ОФИЦИАЛЬНОЕ ОПУБЛИКОВАНИЕ
Постановление Комитета по охране объектов культурного наследия Ростовской области от 25.01.2022 № 20/01-01/43
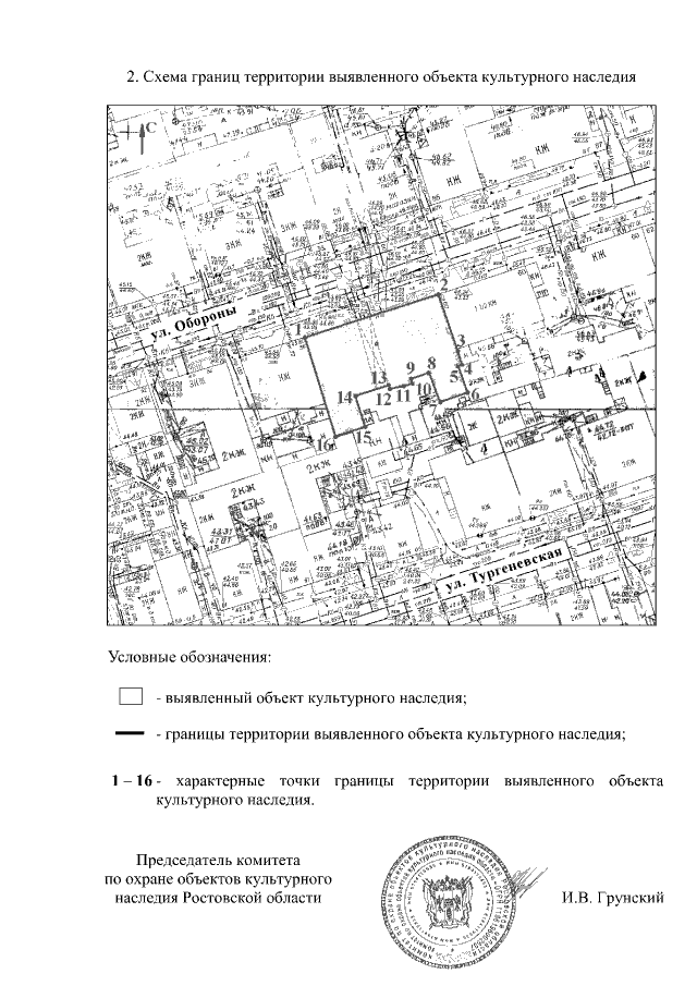
"О включении объекта, обладающего признаками объекта культурного наследия, расположенного по адресу: Ростовская область, г. Ростов-на-Дону, ул. Обороны, 58, литер А, в перечень выявленных объектов культурного наследия и об утверждении границ его территории"
Номер опубликования: 6101202202030021
Дата опубликования: 03.02.2022
Страница №5 из 5:
Увеличить