Официальное опубликование правовых актов
ОФИЦИАЛЬНОЕ ОПУБЛИКОВАНИЕ
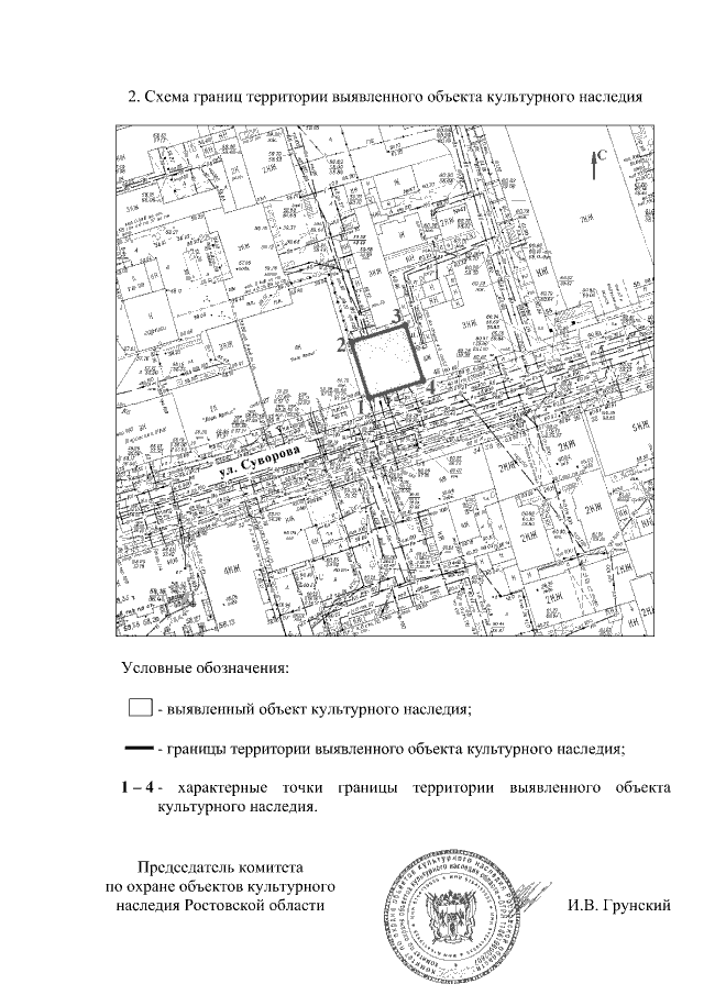
Постановление Комитета по охране объектов культурного наследия Ростовской области от 29.12.2021 № 20/01-01/2083
"О включении объекта, обладающего признаками объекта культурного наследия, расположенного по адресу: Ростовская область, г. Ростов-на-Дону, ул. Суворова, 43, литер Е, в перечень выявленных объектов культурного наследия и об утверждении границ его территории"
Номер опубликования: 6101202112300009
Дата опубликования: 30.12.2021
Страница №4 из 4:
Увеличить