Официальное опубликование правовых актов
ОФИЦИАЛЬНОЕ ОПУБЛИКОВАНИЕ
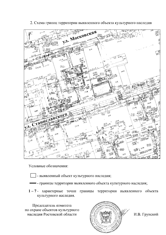
Постановление Комитета по охране объектов культурного наследия Ростовской области от 28.06.2021 № 20/01-01/1711
"О включении объекта, обладающего признаками объекта культурного наследия, расположенного по адресу: Ростовская область, г. Ростов-на-Дону, ул. Станиславского, 67, литер А, в перечень выявленных объектов культурного наследия и об утверждении границ его территории"
Номер опубликования: 6101202107050001
Дата опубликования: 05.07.2021
Страница №4 из 4:
Увеличить