Официальное опубликование правовых актов
ОФИЦИАЛЬНОЕ ОПУБЛИКОВАНИЕ
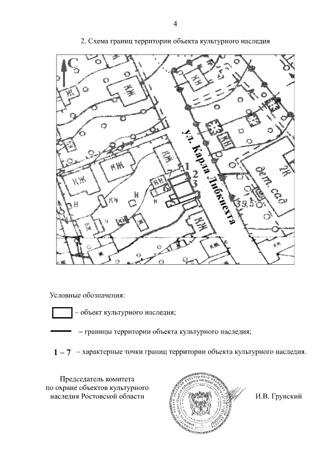
Постановление Комитета по охране объектов культурного наследия Ростовской области от 08.12.2020 № 20/01-01/5016
"Об утверждении границ территории объекта культурного наследия регионального значения (памятника) "Дом зажиточного казака" по адресу: Ростовская область, г. Аксай, ул. К. Либкнехта, 23, литер А и требований к осуществлению деятельности в границах его территории"
Номер опубликования: 6101202012150064
Дата опубликования: 15.12.2020
Страница №4 из 5:
Увеличить