Официальное опубликование правовых актов
ОФИЦИАЛЬНОЕ ОПУБЛИКОВАНИЕ
Постановление Комитета по охране объектов культурного наследия Ростовской области от 21.10.2020 № 20/01-01/3797
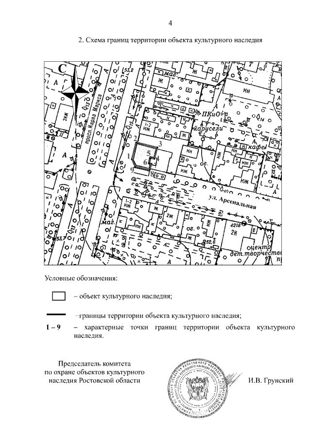
"Об утверждении границ территории объекта культурного наследия регионального значения (памятника), "Здание, в котором в мае-июне 1942 г. размещался штаб Южного фронта, в июле-декабре (1945-1946 гг.) размещался штаб 5 Донского казачьего кавалерийского корпуса" по адресу: Ростовская область, г. Каменск-Шахтинский, ул. Арсенальная, 1, литер А и требований к осуществлению деятельности в границах его территории"
Номер опубликования: 6101202010270027
Дата опубликования: 27.10.2020
Страница №4 из 5:
Увеличить