Официальное опубликование правовых актов
ОФИЦИАЛЬНОЕ ОПУБЛИКОВАНИЕ
Постановление Комитета по охране объектов культурного наследия Ростовской области от 07.04.2020 № 20/01-01/1652
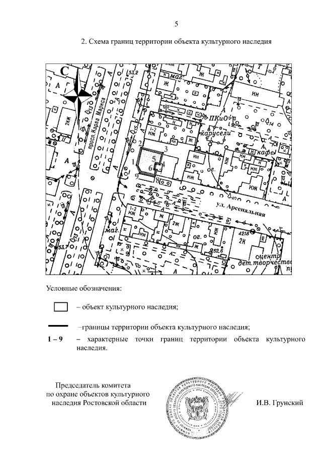
"Об утверждении границ территории объекта культурного наследия регионального значения "Здание, в котором в мае-июне 1942 г. размещался штаб Южного фронта, в июле-декабре(1945-1946 гг.) размещался штаб 5 Донского казачьего кавалерийского корпуса", расположенного по адресу: Ростовская область, г. Каменск, ул. Арсенальная, 1"
Номер опубликования: 6101202004160106
Дата опубликования: 16.04.2020
Страница №5 из 5:
Увеличить