Официальное опубликование правовых актов
ОФИЦИАЛЬНОЕ ОПУБЛИКОВАНИЕ
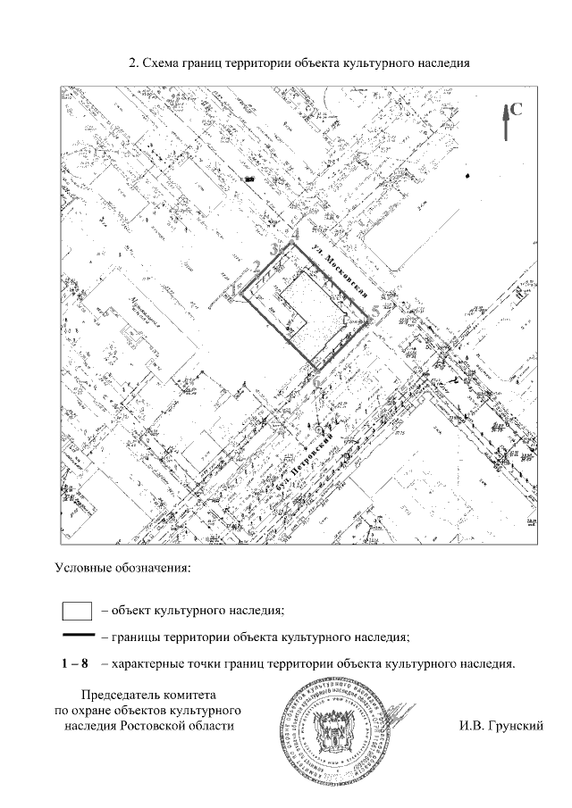
Постановление Комитета по охране объектов культурного наследия Ростовской области от 02.12.2019 № 20/01-01/1574
"О включении выявленного объекта культурного наследия "Здание Азовского отделения Госбанка" в единый государственный реестр объектов культурного наследия (памятников истории и культуры) народов Российской Федерации, об утверждении границ территории объекта культурного наследия"
Номер опубликования: 6101201912050044
Дата опубликования: 05.12.2019
Страница №4 из 4:
Увеличить