Постановление Комитета по охране объектов культурного наследия Ростовской области от 26.11.2019 № 20/01-01/1528
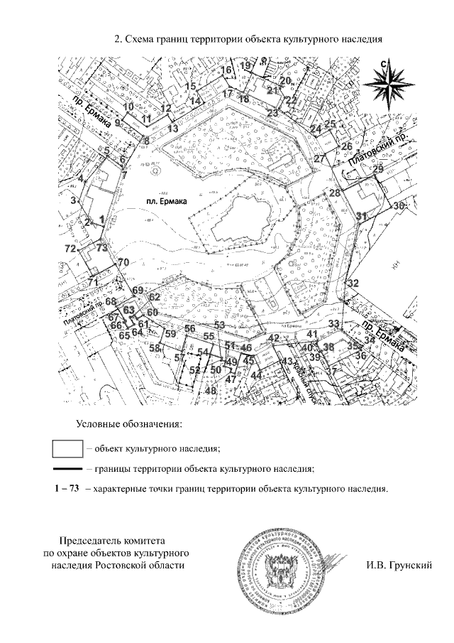
"Об утверждении границ территории объекта культурного наследия регионального значения "Историко-архитектурный комплекс Площадь Ермака"
"Об утверждении границ территории объекта культурного наследия регионального значения "Историко-архитектурный комплекс Площадь Ермака"
Номер опубликования: 6101201911280005
Дата опубликования:
28.11.2019
