Постановление Комитета по охране объектов культурного наследия Ростовской области от 19.11.2019 № 20/01-01/1370
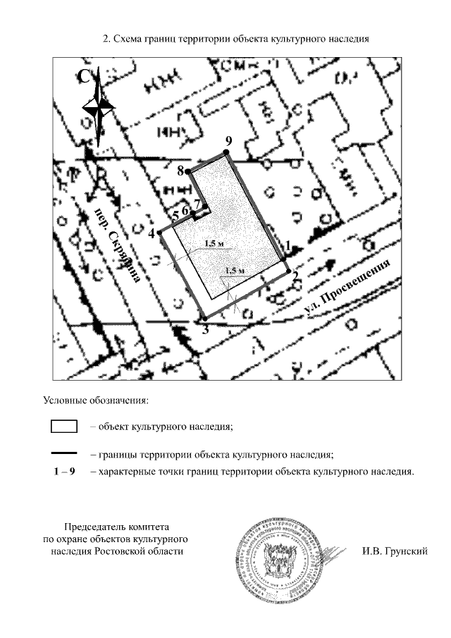
"Об утверждении границ территории объекта культурного наследия регионального значения "Доходный дом купца 2-й гильдии Кирюнина П.Н." (уточненное наименование: "Доходный дом П.Н. Кирюнина, нач. ХХ в.")"
"Об утверждении границ территории объекта культурного наследия регионального значения "Доходный дом купца 2-й гильдии Кирюнина П.Н." (уточненное наименование: "Доходный дом П.Н. Кирюнина, нач. ХХ в.")"
Номер опубликования: 6101201911270017
Дата опубликования:
27.11.2019
