Официальное опубликование правовых актов
ОФИЦИАЛЬНОЕ ОПУБЛИКОВАНИЕ
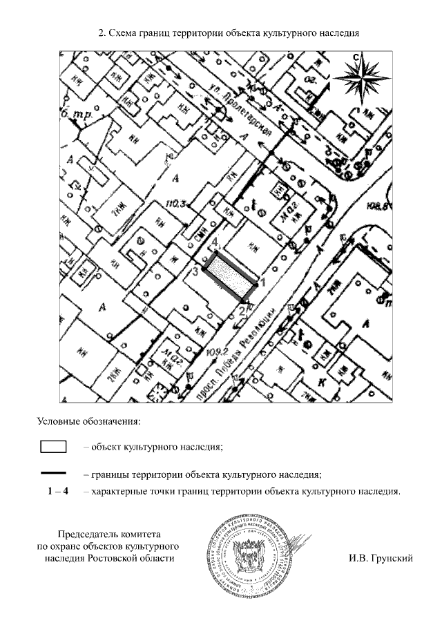
Постановление Комитета по охране объектов культурного наследия Ростовской области от 13.08.2019 № 20/01-01/401
"Об утверждении границ территории объекта культурного наследия регионального значения "Жилой дом лавочника"
Номер опубликования: 6101201908140016
Дата опубликования: 14.08.2019
Страница №3 из 3:
Увеличить