Постановление Комитета по охране объектов культурного наследия Ростовской области от 03.07.2019 № 20/01-01/204
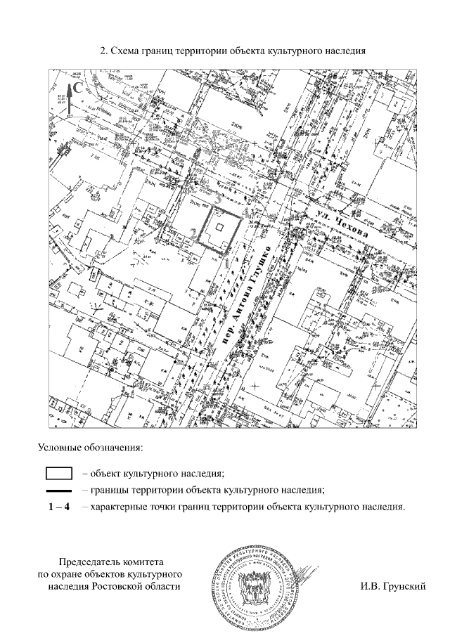
"Об утверждении границ территории объекта культурного наследия регионального значения "Памятник А. Глушко–первому председателю горсовета" (уточненное наименование: "Памятник революционеру А.К. Глушко, 1977 г., ск. Е. Васильев, арх. Б. Черных")"
"Об утверждении границ территории объекта культурного наследия регионального значения "Памятник А. Глушко–первому председателю горсовета" (уточненное наименование: "Памятник революционеру А.К. Глушко, 1977 г., ск. Е. Васильев, арх. Б. Черных")"
Номер опубликования: 6101201907050022
Дата опубликования:
05.07.2019
