Постановление Комитета по охране объектов культурного наследия Ростовской области от 20.05.2019 № 20/01-01/123
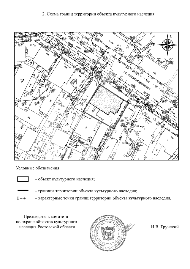
"Об утверждении границ территории объекта культурного наследия регионального значения "Мемориальное здание, где размещался уездный комитет комсомола"
"Об утверждении границ территории объекта культурного наследия регионального значения "Мемориальное здание, где размещался уездный комитет комсомола"
Номер опубликования: 6101201905290015
Дата опубликования:
29.05.2019
