Официальное опубликование правовых актов
ОФИЦИАЛЬНОЕ ОПУБЛИКОВАНИЕ
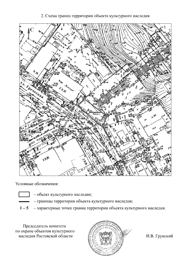
Постановление Комитета по охране объектов культурного наследия Ростовской области от 20.05.2019 № 20/01-01/108
"Об утверждении границ территории объекта культурного наследия регионального значения "солнечные часы"
Номер опубликования: 6101201905290005
Дата опубликования: 29.05.2019
Страница №3 из 3:
Увеличить