Официальное опубликование правовых актов
ОФИЦИАЛЬНОЕ ОПУБЛИКОВАНИЕ
Постановление Комитета по охране объектов культурного наследия Ростовской области от 20.05.2019 № 20/01-01/84
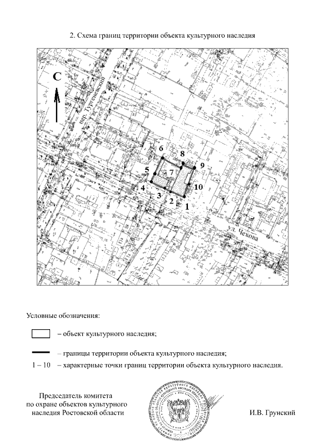
"Об утверждении границ территории объекта культурного наследия регионального значения "мемориальное здание – жилой дом" (уточненное наименование "Жилые дома Макаренко")"
Номер опубликования: 6101201905240013
Дата опубликования: 24.05.2019
Страница №4 из 4:
Увеличить