Официальное опубликование правовых актов
ОФИЦИАЛЬНОЕ ОПУБЛИКОВАНИЕ
Постановление Комитета по охране объектов культурного наследия Ростовской области от 04.02.2019 № 20/01-01/10
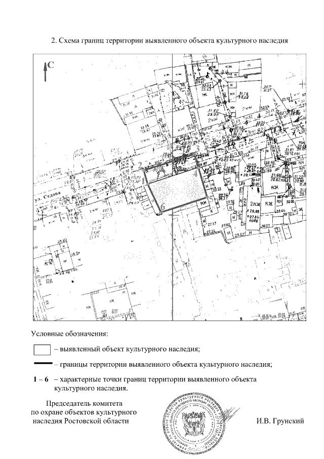
"О включении объекта, обладающего признаками объекта культурного наследия, расположенного по адресу: Ростовская область, г. Ростов-на-Дону, ул. Седова, 24/49, ул. Нижнебульварная, литер А, в перечень выявленных объектов культурного наследия и об утверждении границ его территории"
Номер опубликования: 6101201902080004
Дата опубликования: 08.02.2019
Страница №3 из 3:
Увеличить