Официальное опубликование правовых актов
ОФИЦИАЛЬНОЕ ОПУБЛИКОВАНИЕ
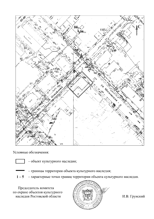
Постановление Комитета по охране объектов культурного наследия Ростовской области от 17.12.2018 № 20/01-01/409
"Об утверждении границ территории объекта культурного наследия регионального значения "Жилой дом торговца импортными сельскохозяйственными машинами Николая Леймана" (уточненное наименование: "Жилой дом Г.Ш. Огуза")"
Номер опубликования: 6101201812190039
Дата опубликования: 19.12.2018
Страница №3 из 3:
Увеличить