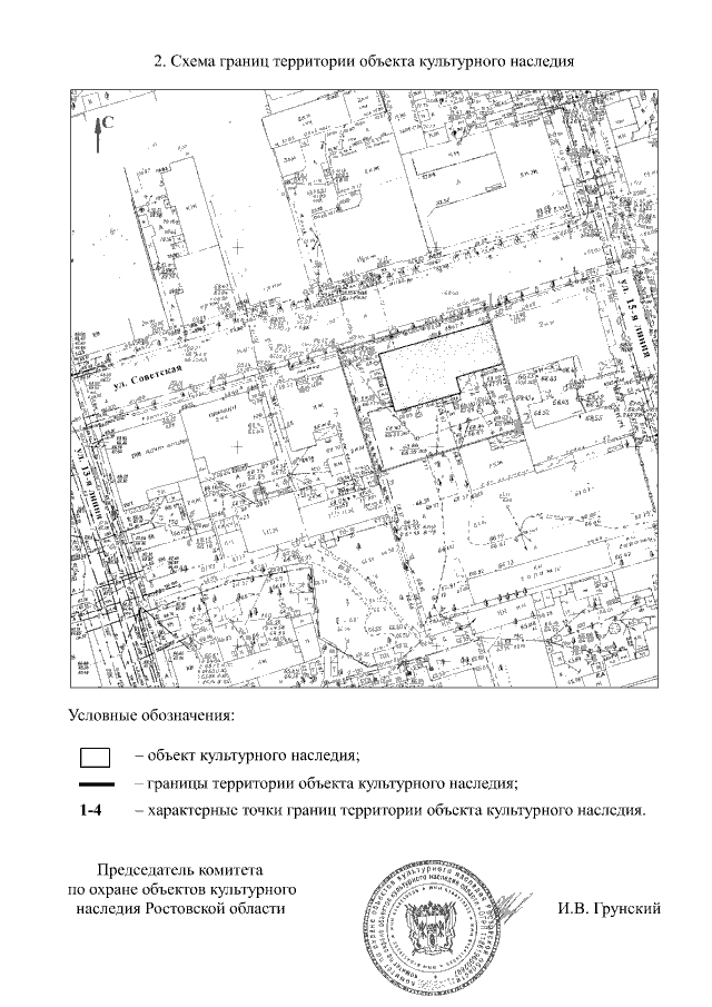
Постановление Комитета по охране объектов культурного наследия Ростовской области от 19.09.2018 № 20/01-01/221
"Об утверждении границ территории выявленного объекта культурного наследия "Жилой дом, II пол. ХIХ в." (уточненное наименование: "Жилой дом В.А. Риделя")"
"Об утверждении границ территории выявленного объекта культурного наследия "Жилой дом, II пол. ХIХ в." (уточненное наименование: "Жилой дом В.А. Риделя")"
Номер опубликования: 6101201809240005
Дата опубликования:
24.09.2018
