Официальное опубликование правовых актов
ОФИЦИАЛЬНОЕ ОПУБЛИКОВАНИЕ
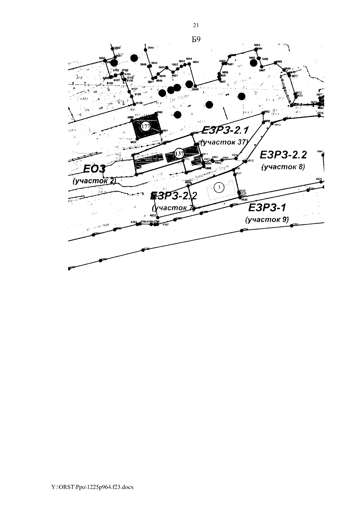
Постановление Правительства Ростовской области от 25.12.2023 № 964
"Об установлении объединенной зоны охраны объектов культурного наследия исторической части города Ростов-на-Дону и утверждении требований к градостроительным регламентам в границах территорий данных зон"
Номер опубликования: 6100202312270011
Дата опубликования: 27.12.2023
Страница №21 из 611:
Увеличить