Официальное опубликование правовых актов
ОФИЦИАЛЬНОЕ ОПУБЛИКОВАНИЕ
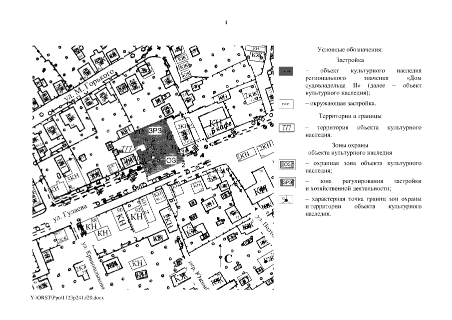
Постановление Правительства Ростовской области от 23.11.2020 № 241
"Об установлении зон охраны объекта культурного наследия регионального значения "Дом судовладельца II" и утверждении требований к градостроительным регламентам в границах территорий данных зон"
Номер опубликования: 6100202011250004
Дата опубликования: 25.11.2020
Страница №4 из 9:
Увеличить