Официальное опубликование правовых актов
ОФИЦИАЛЬНОЕ ОПУБЛИКОВАНИЕ
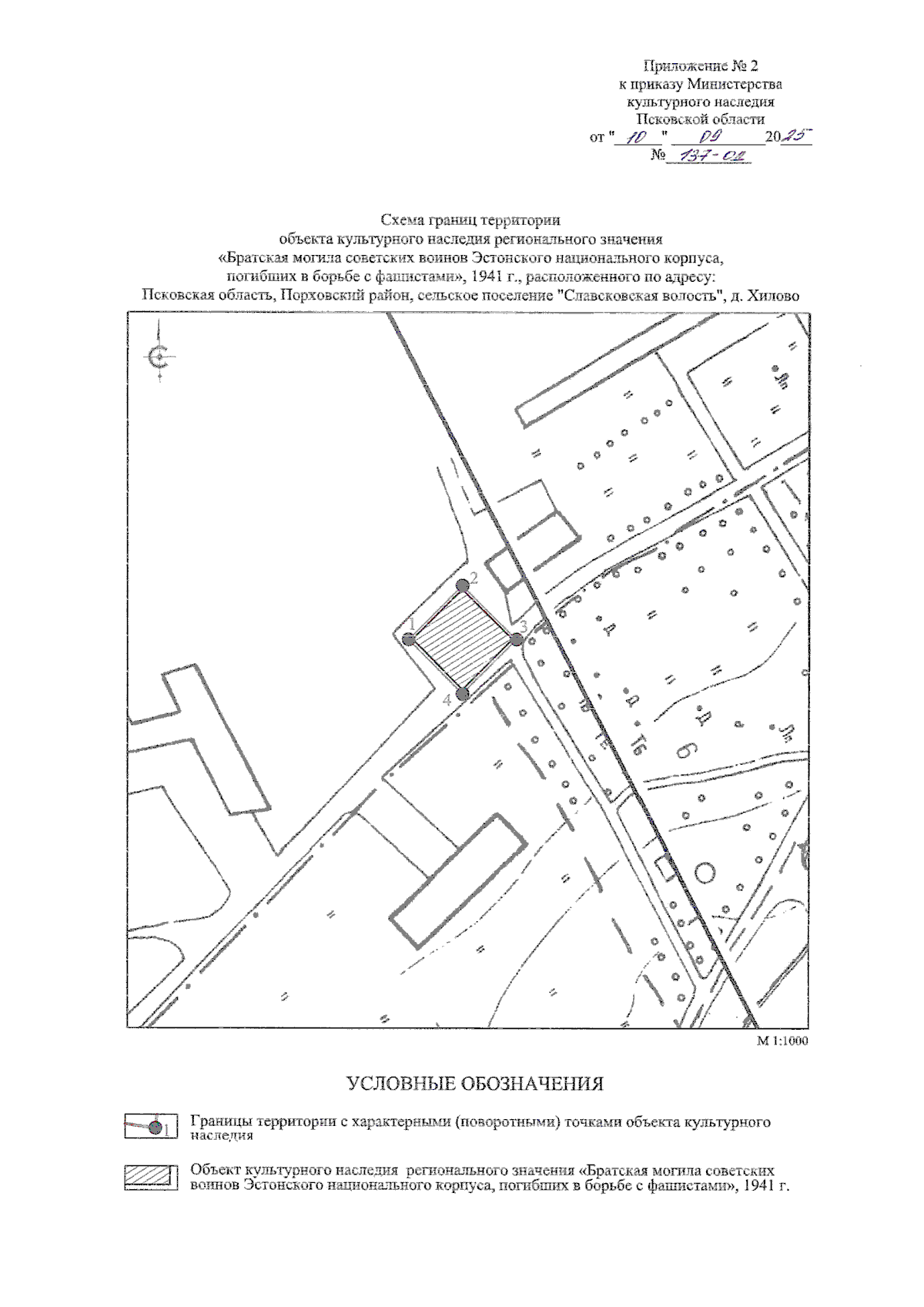
Приказ Министерства культурного наследия Псковской области от 10.09.2025 № 137-ОД
"Об утверждении границ территории объекта культурного наследия регионального значения "Братская могила советских воинов Эстонского национального корпуса, погибших в борьбе с фашистами", 1941 г., расположенного по адресу: Псковская область, Порховский район, сельское поселение "Славковская волость", д. Хилово"
(Зарегистрирован 10.09.2025 № 2340)
Номер опубликования: 6001202509190001
Дата опубликования: 19.09.2025
Страница №7 из 9:
Увеличить