Официальное опубликование правовых актов
ОФИЦИАЛЬНОЕ ОПУБЛИКОВАНИЕ
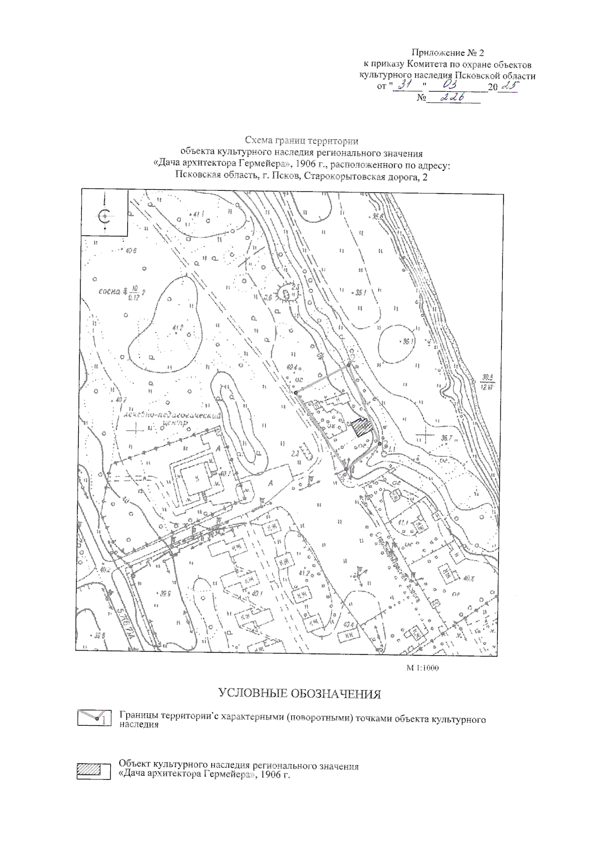
Приказ Комитета по охране объектов культурного наследия Псковской области от 31.03.2025 № 226
"Об утверждении границ территории объекта культурного наследия регионального значения "Дача архитектора Гермейера", 1906 г., расположенного по адресу: Псковская область, г. Псков, Старокорытовская дорога, 2"
(Зарегистрирован 31.03.2025 № 2007)
Номер опубликования: 6001202504040027
Дата опубликования: 04.04.2025
Страница №6 из 8:
Увеличить