Официальное опубликование правовых актов
ОФИЦИАЛЬНОЕ ОПУБЛИКОВАНИЕ
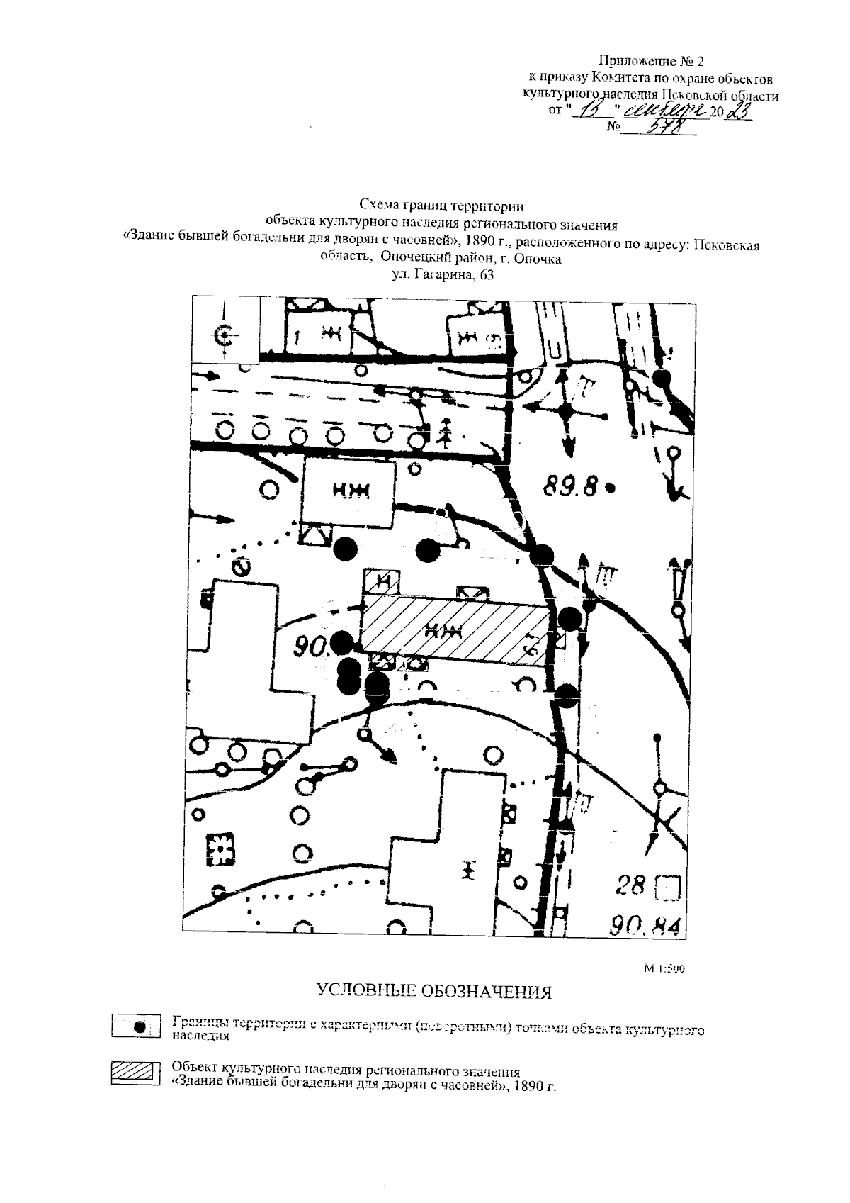
Приказ Комитета по охране объектов культурного наследия Псковской области от 13.09.2023 № 578
"Об утверждении границ территории объекта культурного наследия регионального значения "Здание бывшей богадельни для дворян с часовней", 1890 г., расположенного по адресу: Псковская область, Опочецкий район, г. Опочка, ул. Гагарина, 63"
(Зарегистрирован 14.09.2023 № 431)
Номер опубликования: 6001202309190005
Дата опубликования: 19.09.2023
Страница №7 из 9:
Увеличить