Приказ Комитета по охране объектов культурного наследия Псковской области от 15.01.2021 № 17
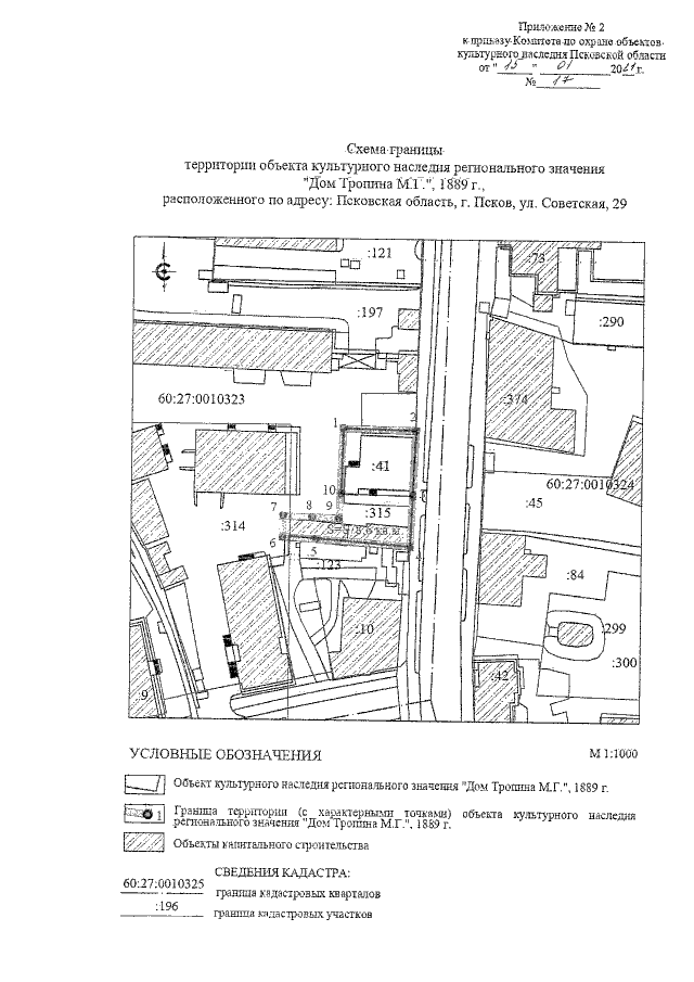
"О внесении изменений в приказ Комитета по охране объектов культурного наследия Псковской области от 02.12.2020 № 849 "Об утверждении границы территории объекта культурного наследия регионального значения "Дом Тропина М.Г.", 1889 г., расположенного по адресу: Псковская область, г. Псков, ул. Советская, 29"
"О внесении изменений в приказ Комитета по охране объектов культурного наследия Псковской области от 02.12.2020 № 849 "Об утверждении границы территории объекта культурного наследия регионального значения "Дом Тропина М.Г.", 1889 г., расположенного по адресу: Псковская область, г. Псков, ул. Советская, 29"
Номер опубликования: 6001202101200003
Дата опубликования:
20.01.2021
