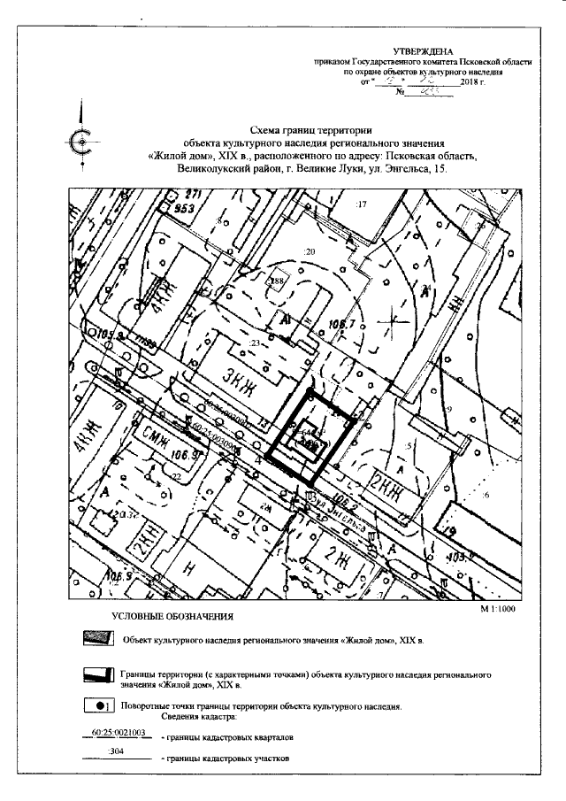
Приказ Государственного комитета Псковской области по охране объектов культурного наследия от 13.12.2018 № 433 "Об утверждении границы территории объекта культурного наследия регионального значения "Жилой дом", XIX в., расположенного по адресу: Псковская область, Великолукский район, г. Великие Луки, ул. Энгельса, 15"
Номер опубликования: 6001201812200037
Дата опубликования:
20.12.2018
