Официальное опубликование правовых актов
ОФИЦИАЛЬНОЕ ОПУБЛИКОВАНИЕ
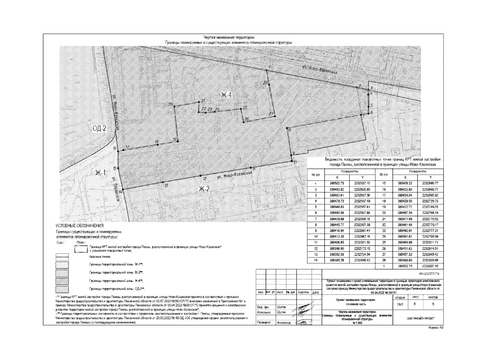
Приказ Министерства градостроительства и архитектуры Пензенской области от 03.11.2023 № 23-238
"Об утверждении документации по планировке территории в границах территории комплексного развития жилой застройки города Пензы, расположенной в границах улицы Ново-Казанская, согласно приказу Министерства градостроительства и архитектуры Пензенской области от 05.04.2022 № 50/ОП"
(Зарегистрирован 03.11.2023 № 23-238)
Номер опубликования: 5801202311100001
Дата опубликования: 10.11.2023
Страница №42 из 42:
Увеличить