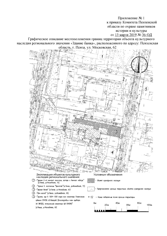
Приказ Комитета Пензенской области по охране памятников истории и культуры от 13.03.2019 № 36-ОД
"Об утверждении границ и режима использования территории объекта культурного наследия регионального значения "Здание банка", расположенного по адресу: Пензенская область, г. Пенза, ул. Московская, 62"
"Об утверждении границ и режима использования территории объекта культурного наследия регионального значения "Здание банка", расположенного по адресу: Пензенская область, г. Пенза, ул. Московская, 62"
Номер опубликования: 5801201903150007
Дата опубликования:
15.03.2019
