Официальное опубликование правовых актов
ОФИЦИАЛЬНОЕ ОПУБЛИКОВАНИЕ
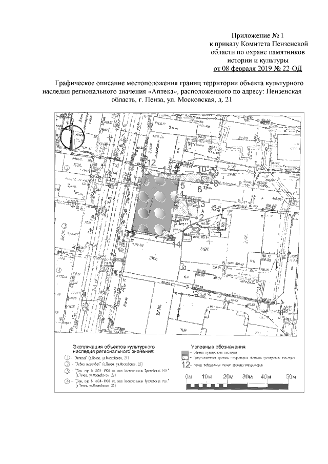
Приказ Комитета Пензенской области по охране памятников истории и культуры от 08.02.2019 № 22-ОД
"Об утверждении границ и режима использования территории объекта культурного наследия регионального значения "Аптека", расположенного по адресу: Пензенская область, г. Пенза, ул. Московская, д. 21"
Номер опубликования: 5801201902110006
Дата опубликования: 11.02.2019
Страница №2 из 5:
Увеличить