Приказ Комитета Пензенской области по охране памятников истории и культуры от 01.02.2019 № 9-ОД
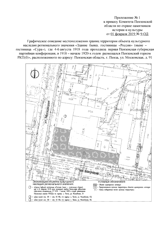
"Об утверждении границ и режима использования территории объекта культурного наследия регионального значения "Здание бывш. гостиницы "Россия" (ныне – гостиница "Сура"), где 4-6 августа 1918 года проходила первая Пензенская губернская партийная конференция, в 1918 – начале 1920-х годов размещался Пензенский горком РКП(б)"", расположенного по адресу: Пензенская область, г. Пенза, ул. Московская, д. 91"
"Об утверждении границ и режима использования территории объекта культурного наследия регионального значения "Здание бывш. гостиницы "Россия" (ныне – гостиница "Сура"), где 4-6 августа 1918 года проходила первая Пензенская губернская партийная конференция, в 1918 – начале 1920-х годов размещался Пензенский горком РКП(б)"", расположенного по адресу: Пензенская область, г. Пенза, ул. Московская, д. 91"
Номер опубликования: 5801201902040002
Дата опубликования:
04.02.2019
