Официальное опубликование правовых актов
ОФИЦИАЛЬНОЕ ОПУБЛИКОВАНИЕ
Постановление Правительства Орловской области от 29.12.2025 № 896
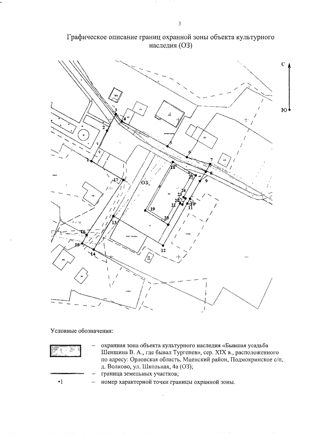
"Об установлении зон охраны объекта культурного наследия регионального историко-культурного значения "Бывшая усадьба Шеншина В. А., где бывал Тургенев", сер. XIX в., расположенного по адресу: Орловская область, Мценский район, Подмокринское с/п, д. Волково, ул. Школьная, 4а"
Номер опубликования: 5700202512300026
Дата опубликования: 30.12.2025
Страница №5 из 18:
Увеличить