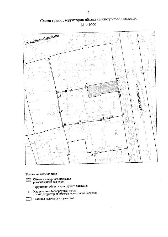
Приказ Инспекции государственной охраны объектов культурного наследия Оренбургской области от 03.08.2023 № 01-08-378
"О включении выявленного объекта культурного наследия в единый государственный реестр объектов культурного наследия (памятников истории и культуры) народов Российской Федерации, об утверждении предмета охраны, границ и режима использования территории объекта культурного наследия"
(Зарегистрирован 03.08.2023 № 0237/2023/22)
"О включении выявленного объекта культурного наследия в единый государственный реестр объектов культурного наследия (памятников истории и культуры) народов Российской Федерации, об утверждении предмета охраны, границ и режима использования территории объекта культурного наследия"
(Зарегистрирован 03.08.2023 № 0237/2023/22)
Номер опубликования: 5601202308040019
Дата опубликования:
04.08.2023
