Приказ Инспекции государственной охраны объектов культурного наследия Оренбургской области от 11.07.2022 № 01-08-235
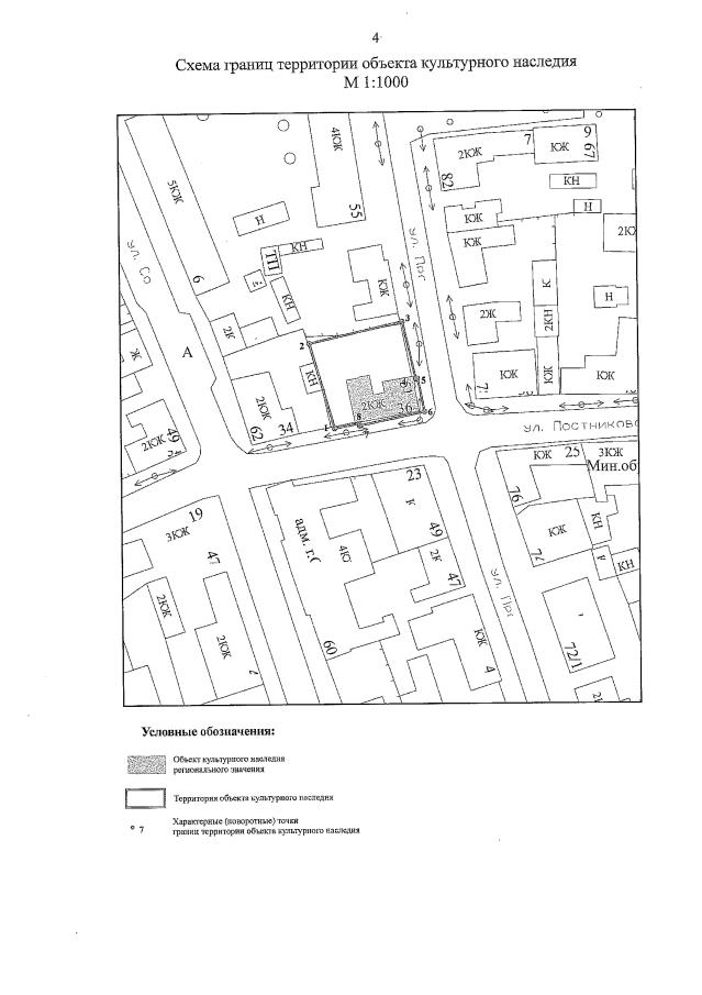
"Об утверждении границ территории объекта культурного наследия регионального значения (вид – памятник) "Особняк. Модерн", начало XX века, и режима использования данной территории"
"Об утверждении границ территории объекта культурного наследия регионального значения (вид – памятник) "Особняк. Модерн", начало XX века, и режима использования данной территории"
Номер опубликования: 5601202207130012
Дата опубликования:
13.07.2022
