Официальное опубликование правовых актов
ОФИЦИАЛЬНОЕ ОПУБЛИКОВАНИЕ
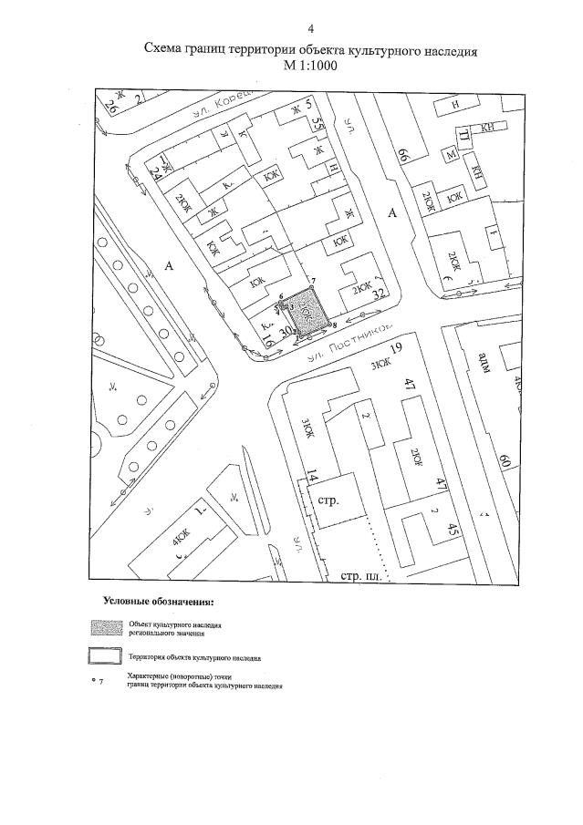
Приказ Инспекции государственной охраны объектов культурного наследия Оренбургской области от 02.06.2022 № 01-08-165
"Об утверждении границ территории объекта культурного наследия местного (муниципального) значения (вид – памятник) "Дом И.П. Вишнякова", и режима использования данной территории"
Номер опубликования: 5601202206060026
Дата опубликования: 06.06.2022
Страница №4 из 7:
Увеличить