Приказ Инспекции государственной охраны объектов культурного наследия Оренбургской области от 02.06.2022 № 01-08-158
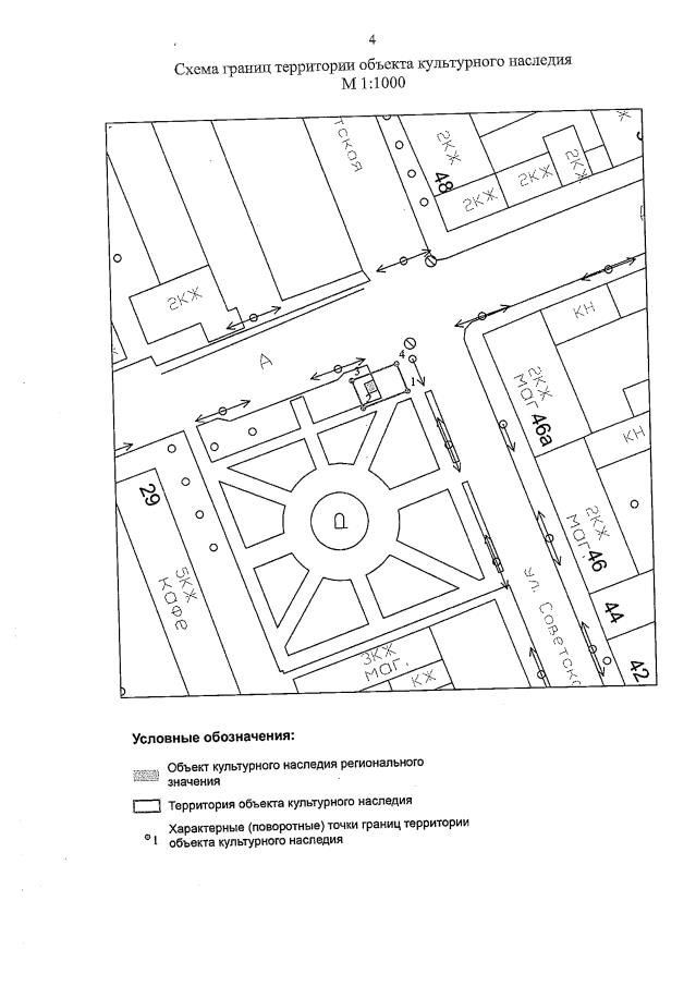
"Об утверждении границ территории объекта культурного наследия регионального значения (вид – памятник) "Стела, установленная в честь основания в 1743 году города Оренбурга", 1967 г., и режима использования данной территории"
"Об утверждении границ территории объекта культурного наследия регионального значения (вид – памятник) "Стела, установленная в честь основания в 1743 году города Оренбурга", 1967 г., и режима использования данной территории"
Номер опубликования: 5601202206060024
Дата опубликования:
06.06.2022
